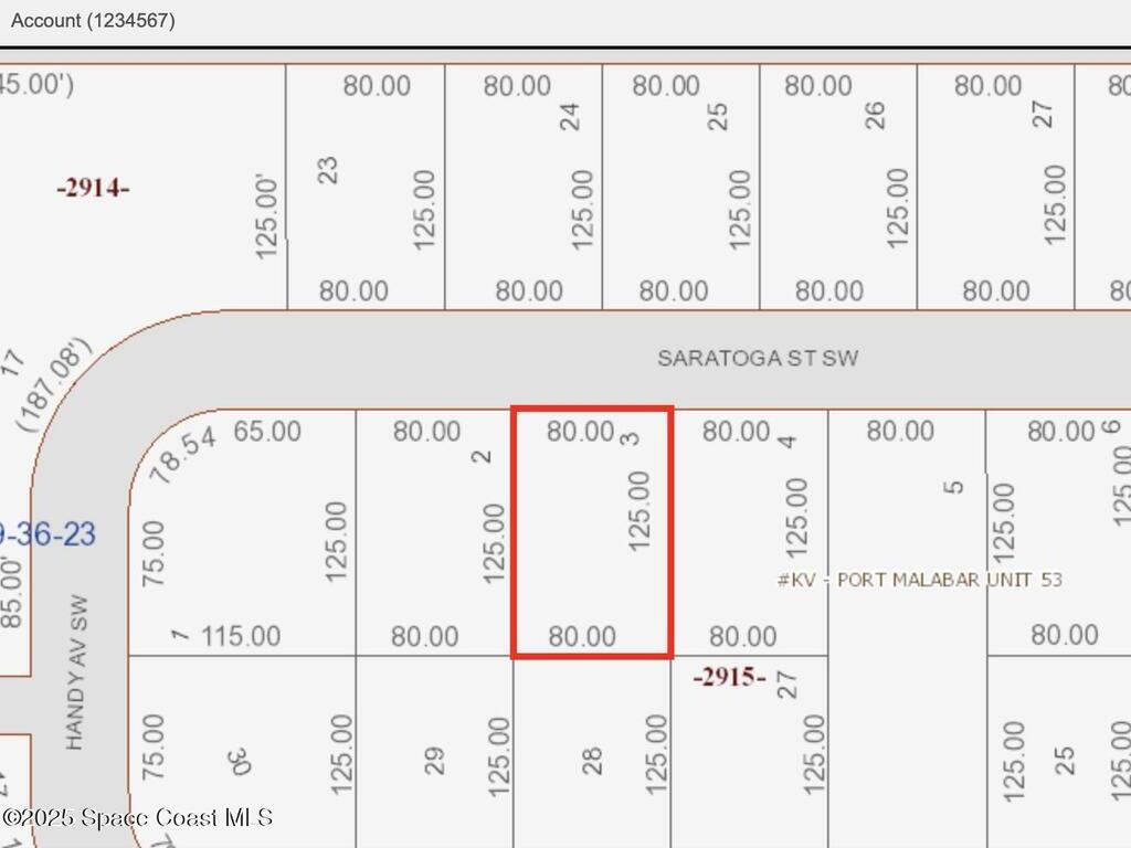
1080 Saratoga Street, Palm Bay, FL 32908
0.23
ACREAGE
$12,500
LISTING PRICE
Unimproved Land
TYPE
Road Surface: N/A
MLS#: 1057370
Status: Active
For More Information Call:
321-255-4242
Property Details
Nestled in the booming landscape of Palm Bay, Florida, lies a rare opportunity to own a piece of the future. This vacant land isn't just a patch of earth; it's a blank canvas in a city experiencing explosive growth and transformation. Palm Bay is no longer just a quiet residential community; it's rapidly evolving into a major economic and technological hub on the Space Coast. Imagine the possibilities. With new residential developments bringing thousands of new homes to the area, the demand for local services and businesses is at an all-time high. This property is perfectly positioned to capitalize on that momentum. Once the area is deemed buildable, this is a lot in the undeveloped area of SW Palm Bay - No Utilities--excellent investment for the future.

This listing is courtesy of RE/MAX Aerospace Realty. Property Listing Data contained within this site is the property of Brevard MLS and is provided for consumers looking to purchase real estate. Any other use is prohibited. We are not responsible for errors and omissions on this web site. All information contained herein should be deemed reliable but not guaranteed, all representations are approximate, and individual verification is recommended.
- Acreage0.23
- Area345 - SW Palm Bay
- CityPalm Bay
- CountyBrevard
- DirectionsFrom Degrodt and Bombardier, head west to. Wingham South to Roland East to Sapodilla to North to second Saratoga. Lot is on the left
- General County LocationSouth
- List Price/Acres$54,347.83 / acre
- Listing ID1057370
- Listing StatusActive
- Lot Dimensions80 x 125
- Property TypeVacantland
- State/ProvinceFL
- StatusActive
- Status Change DateWednesday, September 17th, 2025
- Street NameSaratoga
- Street Number1080
- Street SuffixStreet
- Sub TypeUnimproved Land
- SubdivisionPort Malabar Unit 53
- Suffix DirSW
- Tax Year2023
- Taxes$63.22
- WaterfrontNo
- Zip Code32908